Super Typhoon Usagi, the most powerful storm on earth in 2013, was on route towards Southern China, lashing Philippines and Taiwan on its way, and enveloping Hong Kong on Sunday. Authorities in each region issued alerts, cautioning residents living in areas that will experience the brunt of the storm to remain indoors and cancel all outdoor activities. Soldiers have been mobilized in Taiwan in preparation for the worst.
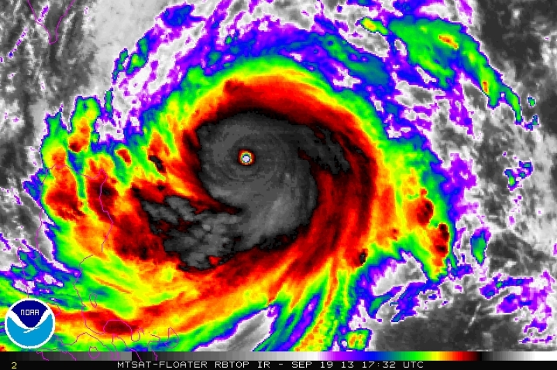
Typhoon Usagi's wind speed peaked at 184 mph (equivalent to a category 5 hurricane), an explosive increase from just 75 mph Tuesday, according to the U.S. Navy's Joint Typhoon Warning Center, based out of Pearl Harbor, Hawaii. It has achieved a "super typhoon" status after peak winds reach 150 mph.

The super typhoon was moving just off the coast of Southern tip of Taiwan towards Hong Kong. Although the forecasted wind and gust were predicted to decrease to around 121 mph once it reaches Hong Kong, the storm would impact the city of 7.2 million people with its center located just 6 km southeast. The Hong Kong observatory forecasted the storm to hit after 8 p.m. (1200 GMT) on Sunday.
Super Typhoon Usagi had maximum sustained winds of 150 mph on Friday evening and was about 373 miles southeast of Taipei, Taiwan's capital, according to the Typhoon Warning Center. The island's weather bureau issued a warning to the residents of Taitung, Kaohsiung and the Pingtung areas to take special precaution. The storm is predicted to bring fierce wind and torrential rains, possibly leading to landslides, the AFP reported.
In response, Taiwan's defense ministry deployed more than 1,600 soldiers in "high risk" area prone to flooding and landslides while placing 24,000 others on standby.
Usagi had a massive diameter of 680 miles, with its outer rain bands reaching across the main northern Philippines island of Luzon and souther Taiwan. It was packing 24-hour rainfall accumulation of nearly 20 inches near its center.
Philippines have evacuated 240 people from the northern province of Tarlac, and ferries were restricted to their ports, stranding travelers, according to AFP. The storm's impact on Hong Kong would stop metro and ferry services and curtail air travel.





